Upplýsingar
Verðsaga
Byggt 2025
36,8 m²
0 herb.
Sérinngangur
Lýsing
***Domusnova kynnir vel staðsett geymslu- eða lagerrrými við Straumhellu 7X, Hafnarfirði***
****'AÐEINS TVÖ BIL EFTIR AF ÞESSUM VINSÆLU EININGUM***
Birt stærð 36,8fm hvert bil með möguleika á millilofti.
----- BÓKIÐ SKOÐUN - SÝNUM SAMDÆGURS ------
Allar nánari upplýsingar veita:
Agnar Agnarsson löggiltur fasteignasali í s. 820-1002 // [email protected]
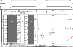
Nýtt glæsilegt atvinnu-frístunda- og/eða hobbý rými til sölu á malbikaðri afgirtri lóð (öryggisgirðing) með lokuðu rafstýrðu hliði við Straumhellu 7, Hafnarfirði. Samtals eru 27 bil í tveimur aðskildum húsum á sameiginlegri lóð. Breidd húsnæðis 4,6m. og lengd 8,0m.
Fasteignin er byggð úr límtré ásamt burðarvirki þess.
Útveggir eru klæddir með vottuðum stá-samlokueinignum frá Límtré/Vírnet með harðpressaðri steinull.
Bilin afhendast fullfrágengin utan sem innan (byggingastig 7) með sérstæði fyrir framan hvert bil.
Vegghæð við útvegg er 4,4 metrar og 5,8 metrar innst í hverju bili
Innkeyrsludyr eru H3,0m x B2,5m
Inngöngudyr við hlið innkeyrsludyra og gluggi fyrir ofan inngöngudyr.
Gólf vélslípuð og máluð með Epoxy málningu, þ.m.t. í sameiginlegu inntaksrými og salerni.
Skolvaskur og blöndunartæki uppsett í hverju bili.
Skolprör í gólfi á hverju bili sem gefur möguleika á uppsetningu fyrir klósett í hvert bil.
Niðurfall í gólfum.
Hitaveita sameiginleg fyrir öll geymslurýmin og er húsnæðið hitað upp með hefðbundnu ofnakerfi. Varmaskiptir er við inntak heita vatnsins. Inntök húsa eru öll staðsett við enda húss nr. 1 Niðurfallslagnir tilbúnar til tengingar fyrir salernisaðstöðu.
Afhendingartími er við undirritun kaupsamnings.
Rafmagnsmótor á innkeyrsluhurð.
Raflögn verður frágengin með 3ja fasa rafmagni og rafmagstöflu fyrir hvert bil. Lýsing í loftum frágengin.
Lóð skilast fullfrágengin, malbikuð með niðurföllum, girt af og með sjálfvirku rennihliði tengt símanúmerum eigenda á hverju innnkeyrslubili.
Útilýsing frágengin fyrir ofan innkeyrsluhurðar hvers geymslubils tengd sólúri og tengd sameiginlegum rafmagnsmæli.
Sameiginleg salernisaðstaða frágengin með klósetti í mhl. 02 ásamt inntaksrými. Sameiginleg bílastæði á lóð eru 17 og þar af 2 fyrir hreyfihamlaða .
HÚSFÉLAG er stofnað fyrir alla verðandi eigendur að bilum á þessari lóð til að tryggja m.a. góða umgengni um lóð og hús.
Á eigninni hvílir kvöð um virðisaukaskattsskylda starfsemi
Nánari upplýsingar veita:
Skrifstofa / s.527-1717 / [email protected]
Agnar Agnarsson löggiltur fasteignasali / s.8201002 / [email protected]
Um skoðunar- og aðgæsluskyldu:
Í lögum um fasteignakaup nr. 40/2002 er kveðið á um ríka skoðunarskyldu kaupenda á fasteignum. DOMUSNOVA fasteignasala bendir væntanlegum kaupendum á að kynna sér vel ástand fasteigna við skoðun og fyrir tilboðsgerð og ef þurfa þykir að leita til sérfræðinga um nánari ástandsskoðun.
Forsendur söluyfirlits:
Söluyfirlit er samið af fasteignasala í samræmi við ákvæði laga nr. 70/2015. Þær upplýsingar sem fram koma í söluyfirliti þessu eru sóttar í opinberar skrár, til seljanda sjálfs og eftir atvikum til húsfélags. Seljandi veitir upplýsingar um eign í samræmi við upplýsingaskyldu laga um fasteignakaup nr. 40/2002, og ábyrgist að þær séu réttar. Fasteignasali sannreynir að þær upplýsingar séu réttar með sjónskoðun á eigninni. Fasteignasali getur ekki fullyrt um ástand og eiginleika þeirra hluta fasteigna sem ekki eru aðgengilegir og sjást ekki berum augum, t.d. lagnir, dren, skólp og þak. Það sama á við um staðhæfingar seljanda eignar um viðhald og einstaka framkvæmdir.
Gjöld sem kaupandi þarf að standa straum af vegna kaupanna:
Stimpilgjald af kaupsamningi sem er hlutfall af fasteignamati. Stimpilgjald er 0,8% fyrir einstaklinga (0,4% við fyrstu kaup) og 1,6% fyrir lögaðila.
Þinglýsingargjald af kaupsamningi, veðskuldabréfum, veðleyfum o.fl. Þinglýsingargjald er kr. 2.700,- fyrir hvert skjal.
Lántökugjald lánastofnunar. Um lántökugjald vísast í gjaldskrá viðkomandi lánveitanda.
Umsýsluþóknun fasteignasölu skv. gjaldskrá.
Ef um nýbyggingu er að ræða greiðir kaupandi skipulagsgjald, 0,3% af brunabótamáti, þegar það er lagt á.
****'AÐEINS TVÖ BIL EFTIR AF ÞESSUM VINSÆLU EININGUM***
Birt stærð 36,8fm hvert bil með möguleika á millilofti.
----- BÓKIÐ SKOÐUN - SÝNUM SAMDÆGURS ------
Allar nánari upplýsingar veita:
Agnar Agnarsson löggiltur fasteignasali í s. 820-1002 // [email protected]
Nýtt glæsilegt atvinnu-frístunda- og/eða hobbý rými til sölu á malbikaðri afgirtri lóð (öryggisgirðing) með lokuðu rafstýrðu hliði við Straumhellu 7, Hafnarfirði. Samtals eru 27 bil í tveimur aðskildum húsum á sameiginlegri lóð. Breidd húsnæðis 4,6m. og lengd 8,0m.
Fasteignin er byggð úr límtré ásamt burðarvirki þess.
Útveggir eru klæddir með vottuðum stá-samlokueinignum frá Límtré/Vírnet með harðpressaðri steinull.
Bilin afhendast fullfrágengin utan sem innan (byggingastig 7) með sérstæði fyrir framan hvert bil.
Vegghæð við útvegg er 4,4 metrar og 5,8 metrar innst í hverju bili
Innkeyrsludyr eru H3,0m x B2,5m
Inngöngudyr við hlið innkeyrsludyra og gluggi fyrir ofan inngöngudyr.
Gólf vélslípuð og máluð með Epoxy málningu, þ.m.t. í sameiginlegu inntaksrými og salerni.
Skolvaskur og blöndunartæki uppsett í hverju bili.
Skolprör í gólfi á hverju bili sem gefur möguleika á uppsetningu fyrir klósett í hvert bil.
Niðurfall í gólfum.
Hitaveita sameiginleg fyrir öll geymslurýmin og er húsnæðið hitað upp með hefðbundnu ofnakerfi. Varmaskiptir er við inntak heita vatnsins. Inntök húsa eru öll staðsett við enda húss nr. 1 Niðurfallslagnir tilbúnar til tengingar fyrir salernisaðstöðu.
Afhendingartími er við undirritun kaupsamnings.
Rafmagnsmótor á innkeyrsluhurð.
Raflögn verður frágengin með 3ja fasa rafmagni og rafmagstöflu fyrir hvert bil. Lýsing í loftum frágengin.
Lóð skilast fullfrágengin, malbikuð með niðurföllum, girt af og með sjálfvirku rennihliði tengt símanúmerum eigenda á hverju innnkeyrslubili.
Útilýsing frágengin fyrir ofan innkeyrsluhurðar hvers geymslubils tengd sólúri og tengd sameiginlegum rafmagnsmæli.
Sameiginleg salernisaðstaða frágengin með klósetti í mhl. 02 ásamt inntaksrými. Sameiginleg bílastæði á lóð eru 17 og þar af 2 fyrir hreyfihamlaða .
HÚSFÉLAG er stofnað fyrir alla verðandi eigendur að bilum á þessari lóð til að tryggja m.a. góða umgengni um lóð og hús.
Á eigninni hvílir kvöð um virðisaukaskattsskylda starfsemi
Nánari upplýsingar veita:
Skrifstofa / s.527-1717 / [email protected]
Agnar Agnarsson löggiltur fasteignasali / s.8201002 / [email protected]
Um skoðunar- og aðgæsluskyldu:
Í lögum um fasteignakaup nr. 40/2002 er kveðið á um ríka skoðunarskyldu kaupenda á fasteignum. DOMUSNOVA fasteignasala bendir væntanlegum kaupendum á að kynna sér vel ástand fasteigna við skoðun og fyrir tilboðsgerð og ef þurfa þykir að leita til sérfræðinga um nánari ástandsskoðun.
Forsendur söluyfirlits:
Söluyfirlit er samið af fasteignasala í samræmi við ákvæði laga nr. 70/2015. Þær upplýsingar sem fram koma í söluyfirliti þessu eru sóttar í opinberar skrár, til seljanda sjálfs og eftir atvikum til húsfélags. Seljandi veitir upplýsingar um eign í samræmi við upplýsingaskyldu laga um fasteignakaup nr. 40/2002, og ábyrgist að þær séu réttar. Fasteignasali sannreynir að þær upplýsingar séu réttar með sjónskoðun á eigninni. Fasteignasali getur ekki fullyrt um ástand og eiginleika þeirra hluta fasteigna sem ekki eru aðgengilegir og sjást ekki berum augum, t.d. lagnir, dren, skólp og þak. Það sama á við um staðhæfingar seljanda eignar um viðhald og einstaka framkvæmdir.
Gjöld sem kaupandi þarf að standa straum af vegna kaupanna:
Stimpilgjald af kaupsamningi sem er hlutfall af fasteignamati. Stimpilgjald er 0,8% fyrir einstaklinga (0,4% við fyrstu kaup) og 1,6% fyrir lögaðila.
Þinglýsingargjald af kaupsamningi, veðskuldabréfum, veðleyfum o.fl. Þinglýsingargjald er kr. 2.700,- fyrir hvert skjal.
Lántökugjald lánastofnunar. Um lántökugjald vísast í gjaldskrá viðkomandi lánveitanda.
Umsýsluþóknun fasteignasölu skv. gjaldskrá.
Ef um nýbyggingu er að ræða greiðir kaupandi skipulagsgjald, 0,3% af brunabótamáti, þegar það er lagt á.
Ár
Fasteignamat
Kaupverð
Stærð
Fermetraverð
30. des. 2024
1.320.000 kr.
362.300.000 kr.
20114 m²
18.012 kr.
30. des. 2024
1.320.000 kr.
362.300.000 kr.
20114 m²
18.012 kr.
Byggt á upplýsingum úr Þjóðskrá Íslands frá 2006-2026